The Codori Family

Mike Lynaugh Photo

Home | Codori News | 44 York St. | Family Tree | Our French Connection | Codori Pictures | Codori Signs | Codori Site Map | Cordary/Kotary Site Map
  Our Family Name | The Codori Farm | Codori Reunions | Nick's Art Work | Codori Companies | Hottviller, France | Pam's Book | St. Francis Book


Pam Newhouse's Book

Intro

I, II, III, IV

Intro

V,VI,VIII, IX

Pam's words

Pg. 1

The family

pg. 2 - 8

The family

pg. 9 - 16

The family

pg. 17 - 23

The farm

pg. 24 - 32

The battle

pg. 33 - 37

The battle

pg. 38 - 42

Miss Bixler

pg. 44 - 49

Miss Bixler

pg. 51 - 57

The Codoris

pg. 58-65

The Codoris

pg. 66 - 71

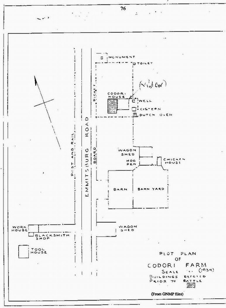
Farm house

pg. 72 - 80

Farm house

Pg. 81 - 88

Farm house

page 86 - 90

Battle lines

pg. 91 -93

 

End notes

pg. 94 - 100

The farm 72,73,74,75,76,77,78,79,80

Previous pages     Next pages

72

APPENDIX C: The Farm

 

Previous pages     Next pages

End notes pg. 94 - 100